
Well yesterday will definitely be a day we all will never forget!
When we started planning our Round the World trip almost two years ago The Great Barrier Reef was one of the first places that went down on the wish list. The only living structure to be visible from Space, it had to be done.
After we arrived in Cairns we went straight to the booking office to research and book the best trip for us, and boy there’s a few to choose from! The weather during the week has also been a little temperamental with gusty winds and monsoon showers in between breaks of scorching sunshine, so we wanted to book the clearest and calmest day which meant waiting almost the whole week.
So finally the day arrived and we were up early, armed with bags full of snacks, sun cream, towels, swimming gear, spare clothes, the girls prefer their own swimming goggles so threw those in….literally everything, I wasn’t taking any chances on getting out there and wishing we had this and that!
We were picked up by our transfer minibus from our apartment reception and driven to the ferry terminal where we also picked up the underwater camera we hired from Calipso. There was quite a few people on board the sea catamaran but it was filled with an air of impending excitement of the day ahead! There were many additional activities that you could book on board as the boat set out on the 90 minute ride to the reef, so groups were lining up to book scenic helicopter rides, private snorkelling tours and scuba diving. We had a quick chat with the Marine Biologist that was on board as to the best areas to swim with the girls (I think he liked us and kept referring to us throughout the day as ‘the family who’s come all the way from England to see the amazing reef!!!)
On the way out we stopped at Frazer Island to drop off some day trippers and we began to see the beautiful clear turquoise waters and fish life in the water below. We finally pulled up beside the pontoon of the individual reef we were exploring, called Moore Reef, we were all so excited with butterflies in our tummies…well I think perhaps Daisy’s were more nervousness, some of the fish were bigger than her!
We were already in our swimmers so we went straight out onto the pontoon and picked up our snorkelling gear and lifejackets to make the first swim easier, we climbed down to the water platform and slowly swam into the sea!
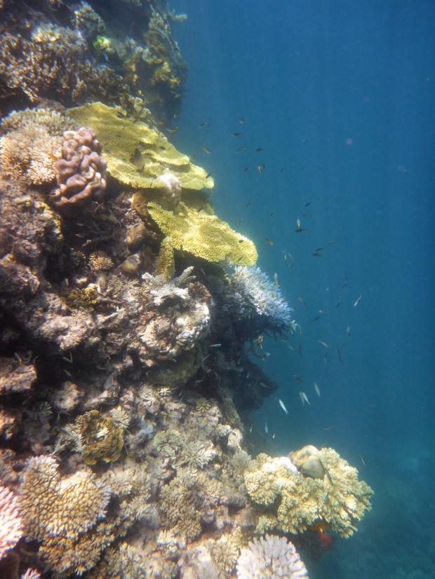
Wow that first view as you submerged under the water! A breathtakingly beautiful array of hundreds of bright fish and then as we swam out away from the pontoon the delicate underworld city of coral gardens. Everywhere you looked there was something new to see, from the shoals of delicate little fish parting as you swam through, to giant clams that closed as you got near. Fish of every shape, size and shade, to have it all right there in front of our eyes was incredible! I don’t think we even talked to each other for a good half an hour, just lots of ‘look’, ‘did you see that’. Just wide eyes trying not to smile too much as that kept letting the water into our goggles!
After a little while we all climbed out to find it was already lunch time, time flies when you’re looking at beautiful things! We decided to take the semi-submersible boat tour whilst the first load of people had lunch and dry off a little. This took us further out around the reef away from the pontoon so we could see different underwater life.
After a quick lunch we were all back in the sea, and as the girls got braver we swam further and further away. We even made it to the very edge of the reef where the different corals looked like an underwater city with little fish peeping out and the water dropping away in to a deep blue below! I couldn’t help but think of Finding Nemo at that point! We were told later that there were many little white sharks swimming around but that they were harmless and more scared of us.
The day passed so very quickly with more beautiful snorkelling, an impressive trip on a glass bottom boat to see shallower areas of the reef that you couldn’t swim over, seeing all sorts of sea cucumbers and star fish, and finished with a marine talk with fish feeding in front of the underwater glass display of the pontoon.
We all came home feeling very much in love with the delicate reef, and realising how important it is to protect this fragile and utterly beautiful part of our world.
































Wonderful!! Fantastic!! Incredible!! Unforgettable!! What a wonderful time you’ve all had!! The girls look so “at home” under the sea 🐠🐬🐟 What a truly beautiful place and such a fantastic memory to have. 😘💕💗💗💗💗🐠🐬
LikeLike
Such a wonderful experience for you all to visit the Reef – you will never forget it….such clear water and yes those fish were pretty big …..underwater heaven xxxxxxxx
LikeLike